Renovierungsobjekt mit Zukunft – KfW-Förderdarlehen ermöglichen besonders niedrige Zinsen!
Eckdaten
- Art Einfamilienhaus
- Lage 76189 Karlsruhe
- Kaufpreis 469.000,00 €
- Preis auf Anfrage nein
- Wohnfläche ca. 150 m²
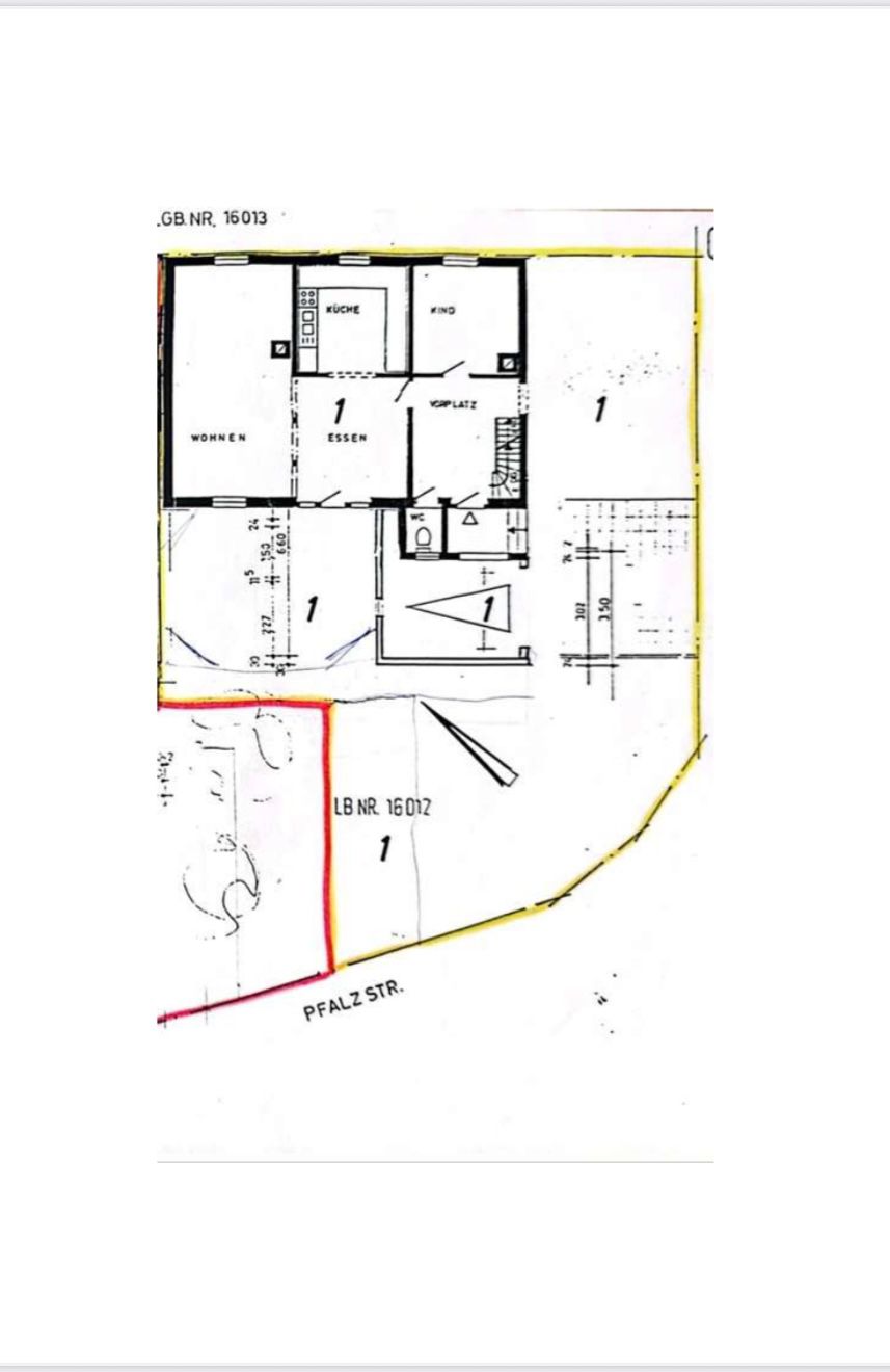
- Grundstück ca. 250 m²
- Zimmer 6
- Baujahr 1954
- Etagenzahl 2
- Alt-/Neubau Altbau
- Denkmalschutzobjekt nein
- Heizungsart Zentralheizung
- Einbauküche ja
- Gäste-WC ja
- Stellplatztyp Garage
- Garagenanzahl 1
- Vermietet nein
- Bezugstermin ab sofort
- Fahrzeit Hauptbahnhof 10 min
- Fahrzeit nächste Autobahnauffahrt 5 min
- Fahrzeit nächster Flughafen 30 min
- Bodenbelag Fliesen Parkett
- Ausstattung des Bades Dusche Fenster Badewanne
- Zustand Renovierungsbedürftig
- Immobilien-ID 5110
- Provision 3,57% (inkl. gesetzlicher MwSt.) inkl. MwSt.
Immobilie
Dieses charmante Einfamilienhaus mit einer Wohnfläche von ca. 150 m² wurde im Jahr 1954 erbaut und bietet viel Platz für die ganze Familie. Das Haus verfügt über drei Schlafzimmer, zwei Badezimmer, eine Zentralheizung und ein ausbaufähiges Satteldach – ideal für alle, die zusätzlichen Raum schaffen möchten. Die Gastherme wurde im Jahr 2018 erneuert. Mit einer Energieeffizienzklasse D ist das Haus vergleichsweise energiesparend.
Die durchdachte Raumaufteilung sorgt für Komfort auf zwei Etagen und insgesamt sechs Zimmern. Eine großzügige Terrasse lädt zum Entspannen im Freien ein, während der Keller zusätzlichen Stauraum bietet und individuell genutzt werden kann. Das Grundstück von 250 m² bietet ausreichend Platz für Garten und Grünflächen. Die vorhandene Garage bietet Platz für ein Fahrzeug und zusätzlichen Stauraum.
Besonders attraktiv ist die ausbaufähige Dachfläche, die zusätzliche Möglichkeiten für Erweiterungen oder eine individuelle Gestaltung bietet. Insgesamt ist dieses Haus eine hervorragende Gelegenheit für Familien, die ein gepflegtes Zuhause in zentraler Lage suchen.
Lage
Das Einfamilienhaus befindet sich in Daxlanden einem ruhigen Stadtteil von Karlsruhe, der für seine familienfreundliche Atmosphäre bekannt ist. Die Wohngegend zeichnet sich durch gepflegte Grünflächen, Spielplätze und gute Einkaufsmöglichkeiten aus. In unmittelbarer Nähe befinden sich Schulen, Kindergärten und öffentliche Verkehrsmittel, die eine gute Anbindung an das Stadtzentrum bieten.
Karlsruhe ist eine lebendige Stadt und bekannt für seine Kultur, Geschichte und Wissenschaft. Die Stadt bietet eine Vielzahl von Freizeitmöglichkeiten, wie Museen, Theater, Parks und Restaurants. Mit seinen breiten Straßen, historischen Gebäuden und modernen Einrichtungen ist Karlsruhe ein attraktiver Wohnort für Familien und Pendler.
Die Region um Karlsruhe besticht durch ihre landschaftliche Vielfalt und ihre gute Anbindung an die umliegenden Städte und Naturgebiete. Die Nähe zum Schwarzwald und zum Elsass bietet vielfältige Möglichkeiten für Outdoor-Aktivitäten und Erholung. Die ausgezeichnete Verkehrsanbindung über Autobahnen und Bahnhöfe ermöglicht es den Bewohnern, bequem in die umliegenden Städte zu gelangen.
Ausstattung
Die Immobilie verfügt über ein Badezimmer mit Dusche, Badewanne und Fenster. Des Weiteren ist eine Einbauküche vorhanden. Die Bodenbeläge in den Räumen sind Fliesen und Parkett. Zusätzlich gibt es eine Gästetoilette.Die Ausstattung wird als normal bewertet.
Sonstiges
Da wir uns bei allen Angaben auf die Informationen Dritter stützen müssen, können wir keine Gewähr für deren Richtigkeit und Vollständigkeit übernehmen. Bitte haben Sie Verständnis dafür, dass wir nur Anfragen mit vollständiger Adressangabe und erreichbarer Handynummer bearbeiten können. Nachdem Ihre Anfrage per E-Mail bei uns eingegangen ist, werden wir uns mit Ihnen zur Abstimmung eines Besichtigungstermins in Verbindung setzen. Bitte nennen Sie deshalb in Ihrer E-Mail eine Tel.-Nr., unter der wir Sie sicher erreichen können. Der Eigentümer hat die Firma Myimmofinanz mit dem Verkauf seiner Immobilie beauftragt. Alle genannten Angaben zum Objekt beruhen auf den Angaben des Eigentümers. Eine Haftungsübernahme unsererseits kann nicht erfolgen. Bitte beachten Sie: Für den Fall, dass Sie das in diesem Exposé nachgewiesene Objekt oder Teile dieses Objekts kaufen, gilt zwischen Ihnen und der Myimmofinanz eine Provision in Höhe von 3,57 % incl. MwSt. als vereinbart. Die Provision wird alleine für den Nachweis des Kaufangebotes durch Myimmofinanz an Sie geschuldet, unbeschadet einer eventuellen Provisionsvereinbarung zwischen Myimmofinanz und der Verkäuferseite. Die Provision wird mit Abschluss des notariellen Kaufvertrages zur Zahlung fällig. Deshalb: Sollte Ihnen ein von uns nachgewiesenes Objekt schon bekannt sein, so bitten wir Sie, uns dies innerhalb von 5 Tagen unter Angabe des anderen Anbieters mitzuteilen. Andernfalls gilt der Nachweis durch unsere Firma als erbracht und von Ihnen anerkannt. Unser Angebot ist ausschließlich für Sie bestimmt und darf Dritten nicht zugänglich gemacht werden. Selbstverständlich erhalten Sie bei näherem Interesse weitere Informationen, sowie die eventuell vorhandenen Plankopien. Nehmen Sie sich die Zeit zu einer persönlichen Besichtigung. Wir bitten um Ihren Besichtigungsterminvorschlag.
Energieausweisangaben
- Enerigeausweistyp Bedarfsausweis
- Energiekennwert 109 KWh(m²*a)
- Energieeffizienzklasse D
- Energie mit Warmwasser nein
- Energieausweis erstellt am 20.07.2022
- Energieausweis gültig bis 23.05.2035
- Heizungsart Zentralheizung
- Befeuerung / Energieträger Erdgas leicht
Rechtliches
Die Provision beträgt 3,57% (inkl. gesetzlicher MwSt.). Sie errechnet sich aus dem notariell beurkundeten Kaufpreis und ist fällig mit Kaufvertragsabschluss.
Herzlichen Dank für Ihre Anfrage.
Wir werden diese so schnell wie möglich bearbeiten.
